
Marchant Calculating Machine Company Inc.
The once vast factory that was the Marchant Calculating Machine Company has been whittled down to being nearly nonexistent over the decades.
The pioneering machinery company reached the pinnacle of its industry only to be reduced to near irrelevancy by the rapid progression of technology.
Brothers Rodney and Alfred Marchant, originally from Mississippi, moved to Northern California in the early 1870s. Rodney moved to San Francisco in the 1890s studying business and commerce. He found work in an office and soon invented a system for determining bookkeeping errors.

In 1905, Rodney traveled to Europe where he came across the Dactyle pinwheel Calculating Machine manufactured by the French company Chateau Frères. He returned to the U.S. in 1909 as a sales agent for the firm.
Marchant was determined to build his own calculating machine. With an initial investment of $10,000, Rodney and his brother Alfred assembled their first calculating machine called the “Standard” in a rented former butcher shop on Market Street in Oakland.

This crude, steel machine, operated by levers and a crank, could perform simple mathematical functions including addition, multiplication, subtraction, and division.
After receiving a patent in 1911, the two brothers proceeded to manufacture machines under the name Marchant Brothers. This was considered the first calculating machine manufactured in the U.S..
Demand for the product quickly outpaced their capacity to build them and they sought a larger plant to accommodate this growth.
By 1912, they were operating out of a new space at 854 Market Street in Oakland. Their capacity grew to 200 machines per month while employing 20 workers.

By 1914, investors began to see the enormous potential of their devices and capital for a larger, higher capacity factory was quickly raised by selling stock. The company was organized as “The Marchant Calculating Machine Co.”
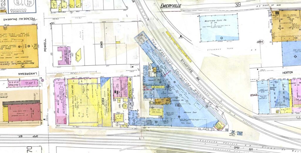
Construction on their new factory at a two acre site on Stanford Avenue wedged between two Southern Pacific rail lines began in 1915. The reinforced concrete and steel plant was completed the following year.

The vast facility contained many departments including a machine shop, foundry, milling machine room, grinding and polishing room, and assembling department.
The plant employed over 500 workers, many of them women. Capacity at the plant quickly ramped up to 250 of their machines per month. By 1919, they had doubled this capacity.

The plant included a modern ventilation system and vast windows provided ample natural lighting that made the plant a more desirable place for workers.
There was a recreation yard for employees to congregate and exercise. They also sponsored a baseball club that competed with other local factory teams.

Marchant continued to innovate, and by 1917 a more sophisticated version of their machine had been developed. This version provided additional functions, including addition, subtraction, division, multiplication, computation of interest, percentage, discount and surveyors’ calculations.
Marchant received patent challenges on their devices during this time forcing them to re-engineer their product.
Marchant suffered a large setback in 1919 when the plant was severely damaged by fire. It caused $500,000 in damages completely destroying several departments including their machine shop, tool room and plating department among others.

Fortunately, the dies and jigs for their machines were protected in a vault and undamaged. Miraculously, they were able to resume production after just three weeks of rebuilding.
Rodney and Alfred Marchant sold their interest in the company in 1920. Walter D. Cole took over as President during this transition stepping down for Charles F. Gross the following year.
Following his departure, Rodney Marchant went on to found the Marchant Plumbing Devices Company of Nevada in 1931 developing a more efficient and universal faucet system.

In 1952, Marchant Calculating Machine Company changed its name to Marchant Calculators, Inc.
1952 was also the year that Marchant began its slow pivot to emerging electronic technology with the acquisition of Physical Research Laboratories, Inc. who were based in Pasadena.

In 1958, Marchant merged with Smith Corona Typewriters forming Smith-Corona Marchant Inc. or simply “SCM.”
That same year, a new Marchant plant was built on San Pablo Avenue between 67th Street and Foldger Avenue. Soon after completing the move of their workforce, they placed this factory up for sale.
Much of the old factory was renovated or demolished in the coming years. Only the administration building on Haruff facing the Powell Street overpass still exists as built.
Alfred Marchant died in 1957 at the age of 81. Rodney Marchant died on December 13, 1965 at the age of 92.
Whitney Research Tool Company, who produced machine valves and other parts, took over the site in the mid 1960s and operated at the site until the late 1990s.
The City of Emeryville’s Redevelopment Agency acquired the property in 1999 to facilitate the connection of Horton St. to Landregan between Stanford and Powell Streets.
The city’s Public Works Department also used the structure as its corporate yard. The building was vacated in 2012 after contaminants were discovered.
The property’s remediation began in 2024, and the factory’s last standing portion was demolished. This remediation process is expected to take at least three years.

The stretch of Stanford Avenue that once extended west beyond Horton Street has been incorporated into the Emeryville Greenway.
Additional history of the Marchant Calculator Machine Co. after 1958 is told on stop 1 of this tour.



